30 maart 2023
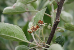
De mogelijkheden voor de bestrijding van de appelbloesemkever nemen steeds verder af. Het vrijstellingsverzoek van de NFO voor Raptol werd dit jaar afgewezen. Ook kan dit jaar geen gebruik worden...
Dit is een Premium-artikel
Verder lezen? Premium-artikelen zijn toegankelijk voor leden, bekijk onze
abonnementen.