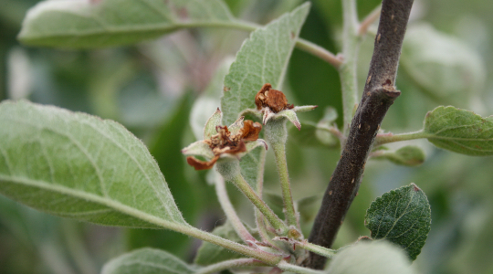
Landelijke en regionale media besteedden de afgelopen dagen volop aandacht aan de problematiek rondom de appelbloesemkever en de noodzaak voor een oplossing. NFO-voorzitter Ron Mulders hoopt dat deze media-aandacht ‘mensen wakker schudt’, zodat sector en overheid uiteindelijk samen tot een oplossing kunnen komen.
Onder meer RTL Nieuws, De Telegraaf, het AD , RTV Utrecht, L1 en Hart van Nederland besteedden aandacht aan de gigantische schade die de kever aanricht in de sector. “Deze aandacht is zonder meer positief”, zegt NFO-voorzitter Ron Mulders, die ook door diverse media werd geïnterviewd. “We hopen dat mensen, en vooral de politiek, hierdoor wakker worden geschud. Alhoewel minister Adema het vooralsnog vooral bij de sector laat.”
Mulders benadrukt in zijn reacties richting media steeds dat de sector volop werkt aan verduurzaming, en dat er op dit vlak ook veel mogelijkheden zijn. “Maar soms loop je tegen problemen aan die gewoon echt levensbedreigend zijn en de continuïteit van bedrijven in gevaar brengt. Dan moet je kunnen rekenen op een overheid die begrip heeft voor je situatie en meewerkt aan het vinden van oplossingen. Dat is nu onvoldoende het geval, en dat is uitermate frustrerend. Ons pleidooi is: laten we samen met de overheid, schouder aan schouder, komen tot een oplossing. Omdat we als sector het milieu minder willen belasten én een boterham willen blijven verdienen met een goede en gezonde appelteelt.”


