25 februari 2025
Vrijstelling Raptol nu echt dringend nodig
De NFO heeft dit jaar enkele vrijstellingen aangevraagd. Het gaat om vrijstellingen aangaande de...
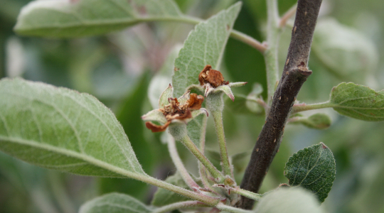
De appelbloesemkever stelt de sector voor grote uitdagingen. Is deze kever een voorbode voor veel andere teelten als er middelen worden verboden? De redactie van Nieuwe Oogst maakte er een podcast over.
In deze podcast gaan Johan Wissink, NFO-voorzitter Ron Mulders, Herman de Vree, Herman Helsen en Nicole van Straten in gesprek over de oorzaak van de schade die het beestje veroorzaakt en de stappen die nu worden gezet om een middel toegelaten te krijgen.
Benieuwd? Beluister de podcast hier.